オールハウス株式会社 > 広島市安佐南区高取南1丁目No.3
「広島市安佐南区高取南1丁目No.3」:広島市安佐南区エリアの新居にピッタリ。自分の好みの建物を建てるという点では、建築条件のない土地がおすすめです。コチラは売地の情報となっています。土地購入をお考えの方は是非。お客様の不動産探しを、豊富なノウハウを持ったスタッフがお手伝いいたします。広島市安佐南区エリアの情報ならお任せください。お薦めの広島高速交通アストラムライン長楽寺周辺の情報もございます。
1月7日 値下げ
※地図上に表示される物件の位置は付近住所に所在することを表すものであり、実際の物件所在地とは異なる場合がございます。
| 物件名 | 広島市安佐南区高取南1丁目No.3 | ||
|---|---|---|---|
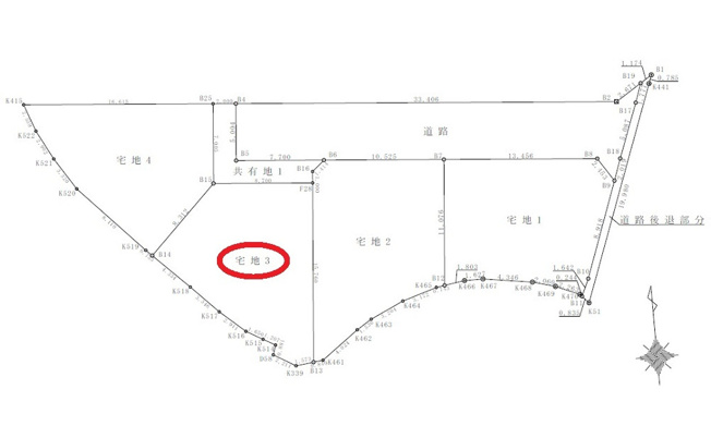
| 所在地 | 広島県広島市安佐南区高取南1丁目 | ||
| 交通 |
|
||
| 接道状況 | -(北) | ||
| 価格 | 1,080万円 | 私道面積 | - |
| 土地権利 | 所有権 | 土地面積 | 150.55㎡ |
| 坪数 | 45.54坪 | 坪単価 | 23.72万円 |
| 地目 | その他 | 地勢 | - |
| 建築条件 | 無 | セットバック | - |
| 都市計画 | 市街化区域 | 用途地域 | 第一種低層住居専用 |
| 建ぺい率 | 50% | 容積率 | 100% |
| 国土法届出要否 | 不要 | その他の法令上の制限 | - |
| 取引態様 | 一般媒介 | 現況 | 更地 |
| 引渡時期 | 相談 | 引渡条件 | - |
| 最適用途 | - | ||
| 設備条件 |
|
||
| 備考 |
建築条件無し 安西小学校 安西中学校 |
||
| QRコード |
このQRコードを読み取ることで、ケータイでも物件情報を確認できます。 |
||






















(※元利均等方式 金利5.00%まで ※返済年数5~50年まで入力できます)
(※ボーナスは年2回で計算しています。1000万円まで入力できます)
