オールハウス株式会社 > 広島市東区戸坂山根3丁目
こだわりで選びたい方におすすめ。広島市東区エリアで住まいをお探しなら「広島市東区戸坂山根3丁目」。道路が南側に面しているので、とてもニーズが高いです。建築条件なしなので、お好みのデザインで住まいを建てることが可能です。土地購入をお考えの方に好条件の売地が多数あります。不動産探しは後悔したくないですよね。地元密着の当社が、お客様のこだわりにとことんお応えします。ぜひお気軽にお問い合わせください。
※地図上に表示される物件の位置は付近住所に所在することを表すものであり、実際の物件所在地とは異なる場合がございます。
| 物件名 | 広島市東区戸坂山根3丁目 | ||
|---|---|---|---|
| 所在地 | 広島県広島市東区戸坂山根3丁目 | ||
| 交通 |
|
||
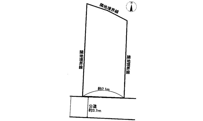
| 接道状況 | -(南 公道 3.7m 間口 7.1m) | ||
| 価格 | 950万円 | 私道面積 | - |
| 土地権利 | 所有権 | 土地面積 | 107.71㎡ |
| 坪数 | 32.58坪 | 坪単価 | 29.16万円 |
| 地目 | 宅地 | 地勢 | - |
| 建築条件 | 無 | セットバック | - |
| 都市計画 | 市街化区域 | 用途地域 | 第一種低層住居専用 |
| 建ぺい率 | 50% | 容積率 | 100% |
| 国土法届出要否 | 不要 | その他の法令上の制限 | - |
| 取引態様 | 一般媒介 | 現況 | 古家有 |
| 引渡時期 | 相談 | 引渡条件 | - |
| 最適用途 | - | ||
| 設備条件 |
|
||
| 備考 |
建築条件無し 南向き日当たり良好 高台につき眺望良好 戸坂小学校 戸坂中学校 |
||
| QRコード |
このQRコードを読み取ることで、ケータイでも物件情報を確認できます。 |
||






















(※元利均等方式 金利5.00%まで ※返済年数5~50年まで入力できます)
(※ボーナスは年2回で計算しています。1000万円まで入力できます)
